বঙ্গোপসাগরে সম্ভাব্য ঘূর্ণিঝড়, আবহাওয়ার সতর্কতা জারি
নিউজফ্ল্যাশ ডেস্ক | প্রকাশিত: ২৪ নভেম্বর ২০২৫, ১২:৫৯
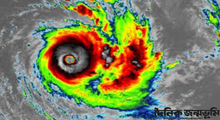
দেশবাসী এখনও ভূমিকম্প আতঙ্ক কাটাতে পারেনি। এরই মধ্যে নতুন সতর্কবার্তা এসেছে বঙ্গোপসাগর থেকে। আবহাওয়া ও জলবায়ু বিশেষজ্ঞরা সতর্ক করে জানিয়েছেন, আগামী কয়েক দিনে দক্ষিণ-পূর্ব বঙ্গোপসাগরে লঘুচাপ সৃষ্টির সম্ভাবনা রয়েছে, যা ঘূর্ণিঝড়ে পরিণত হতে পারে।
কানাডার সাসকাচুয়ান বিশ্ববিদ্যালয়ের আবহাওয়া ও জলবায়ু বিষয়ক পিএইচডি গবেষক মোস্তফা কামাল পলাশ রোববার (২৩ নভেম্বর) সামাজিক যোগাযোগমাধ্যম ফেসবুকে এই তথ্য জানান। তিনি বলেন, ২৩ নভেম্বরের সর্বশেষ আবহাওয়া পূর্বাভাস অনুযায়ী ২৬-২৭ নভেম্বর আন্দামান ও নিকবার দ্বীপের দক্ষিণ পাশে একটি লঘুচাপ সৃষ্টির আশঙ্কা করা যাচ্ছে। এটি পরবর্তীতে নিম্নচাপ, গভীর নিম্নচাপ এবং সর্বশেষে ঘূর্ণিঝড়ে পরিণত হওয়ার সম্ভাবনা রয়েছে।
গবেষক মোস্তফা কামাল পলাশ আরও উল্লেখ করেন, সম্ভাব্য ঘূর্ণিঝড় ভারতের অন্ধ্রপ্রদেশ থেকে বাংলাদেশের চট্টগ্রাম উপকূল পর্যন্ত যেকোনো স্থানের ওপর দিয়ে স্থলভাগে আঘাত করতে পারে। ঘূর্ণিঝড়ের শক্তি ও নির্দিষ্ট স্থলভাগে আঘাতের দিকনির্দেশনা বিভিন্ন দেশের আবহাওয়া পূর্বাভাস মডেলে ভিন্ন হতে পারে। আগামী ২৬ নভেম্বর পর্যন্ত এই বিষয়ে অধিক নিশ্চিত তথ্য পাওয়া যাবে।
কৃষকদের জন্য পরামর্শ:
-
সম্ভাব্য ঘূর্ণিঝড়ের প্রভাবে ডিসেম্বরের ৩ থেকে ৫ তারিখের মধ্যে হালকা থেকে মাঝারি বৃষ্টিপাতের আশঙ্কা রয়েছে।
-
জমিতে থাকা পাকা আমন ধান কেটে ও মাড়াই শেষ করার পরামর্শ দেওয়া হয়েছে।
-
শীতকালীন শাক-সবজি চাষিরা বীজ বোনা ও সেচ দেওয়ার জন্য প্রস্তুতি নিতে পারেন।
-
ডিসেম্বরের ২ তারিখ পর্যন্ত রৌদ্রোজ্জ্বল আবহাওয়া বিরাজ করার সম্ভাবনা রয়েছে।
সমুদ্রগামী জেলেদের জন্য পরামর্শ:
-
ডিসেম্বরের ১ তারিখের পর উত্তর বঙ্গোপসাগরের সমুদ্র উত্তাল হতে পারে।
-
১ ডিসেম্বরের মধ্যে উপকূলে ফেরার প্রস্তুতি রাখার পরামর্শ দেওয়া হয়েছে।
-
৩০ নভেম্বরের পরে নতুন করে সমুদ্রে মাছ ধরতে না যাওয়ার পরামর্শ দেওয়া হয়েছে।
ভ্রমণ ও পর্যটন সংক্রান্ত সতর্কতা:
-
ডিসেম্বরের ১ থেকে ৫ তারিখ পর্যন্ত সেন্টমার্টিন ও টেকনাফের মধ্যবর্তী সমুদ্র উত্তাল থাকার সম্ভাবনা রয়েছে।
-
পর্যটকদের সমুদ্র ভ্রমণ এ সময়ে স্থগিত বা সতর্কতার সঙ্গে করার পরামর্শ দেওয়া হয়েছে।
আবহাওয়া বিশেষজ্ঞরা দেশবাসীকে প্রস্তুত থাকার জন্য সচেতন থাকার আহ্বান জানিয়েছেন।
বিষয়:

পাঠকের মন্তব্য
মন্তব্য পাঠকের একান্ত ব্যক্তিগত। এর জন্য সম্পাদক দায়ী নন।